Home2026April8Refusing AI at work could put your job at risk Refusing AI at work could put your job at risk April 8, 2026admin Executives are tying AI use to promotions and layoffs Source link
Centene reshapes C‑suite with new leaders for Medicaid, exchanges and Medicare “In this expanded role, I will continue to build on the strong foundation we have established across our Medicare and…
Chubb explains details of $20 billion war risk program Chubb is the world’s largest publicly traded property and casualty insurer and provides political risk and maritime insurance to multinational…
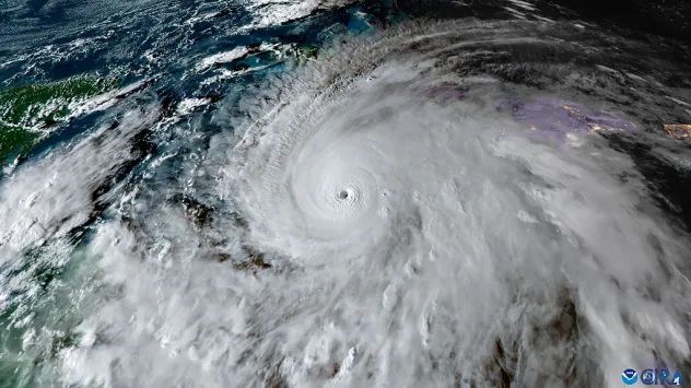
“Industry inside-joke”? Early hurricane forecasts face skepticism despite below-average outlook The latest outlook from the Colorado State University Tropical Cyclones, Radar, Atmospheric Modeling and Software team estimates 13 named storms,…